25/03 – Segundo dia em Galápagos (La Loberia)
O nosso segundo dia (dia 25/03, seunda-feira) em San Cristobal foi dedicado a La Loberia.
Acordamos, tomamos um cafezão e nos mandamos para a Loberia.
Esta praia tem este nome por ser um refúgio dos Leões Marinhos … há muitos deles por lá … Mas há também muitas Iguanas Marinhas, um ótimo local para mergulho e a onda mais pesada de San Cristobal. Depois das 17:30 também há uma nuvem aterrorizante de mosquitos !! Quem pensar em vir para La Loberia neste horário, traga obrigatoriamente um tubo de repelentes !
Passamos quase todo o dia por lá … surfamos e fizemos um snorkeling na piscina de Loberia. Para chegar até La Loberia, pode-se ir caminhando, o que leva cerca de 20-30 minutos desde o centrinho, ou então pagar 2 dólares e ir de taxi. Aqui em San Cristóbal todos os taxis são camionetas cabine-dupla, com a caçamba aberta, podendo transportar a galera dentro do veículo ou na caçamba (em especial os surfistas molhados e as pranchas).
A onda de La Loberia quebra com ondulações de Sul e Sudoeste normalmente para os dois lados. O fundo é de pedras vulcânicas e é bem raso e afiado. A direita é mais longa, já a esquerda, quando o mar sobe, fica bem tubular e pesada. É normal a presença de lobos marinhos e tartarugas surfando junto com a galera no pico.
Levamos para a praia, além das pranchas, as mochilas com mantimentos e bebidas para passar o dia. Em La Loberia não há nada para vender, então, tem que levar tudo o que precisa para o tempo que quiser ficar lá. Armamos o nosso acampamento lá e fomos surfar.
Para chegar no pico, entra remando na piscina de La Loberia, vai por um canal costeando as rochas e logo está no pico.
Pegamos boas ondas nesta sessão e também fomos pegos por algumas … em Loberia uma coisa é certa, cedo ou tarde o cara acaba fazendo uma visita às pedras … é muito raso, e a onda, mesmo nos dias menores, é bem potente..
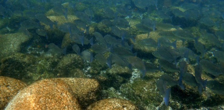
Depois de surfarmos até cair os braços, fizemos um mergulho na piscina de Loberia, onde pudemos apreciar tartarugas marinhas, peixes dos mais variados tipos e cores, leões marinhos, arraias, etc… muito show !!
Voltamos na tarde para a pousada murchos de tanto mergulhar ….
Demos uma descansada e ao entardecer fizemos um passeio pelo centrinho e jantamos um delicioso camarão apanado no Restaurante da Rosita..
Mais relatos em breve ..
Aquele abraço !










